Foto/ REUTERS
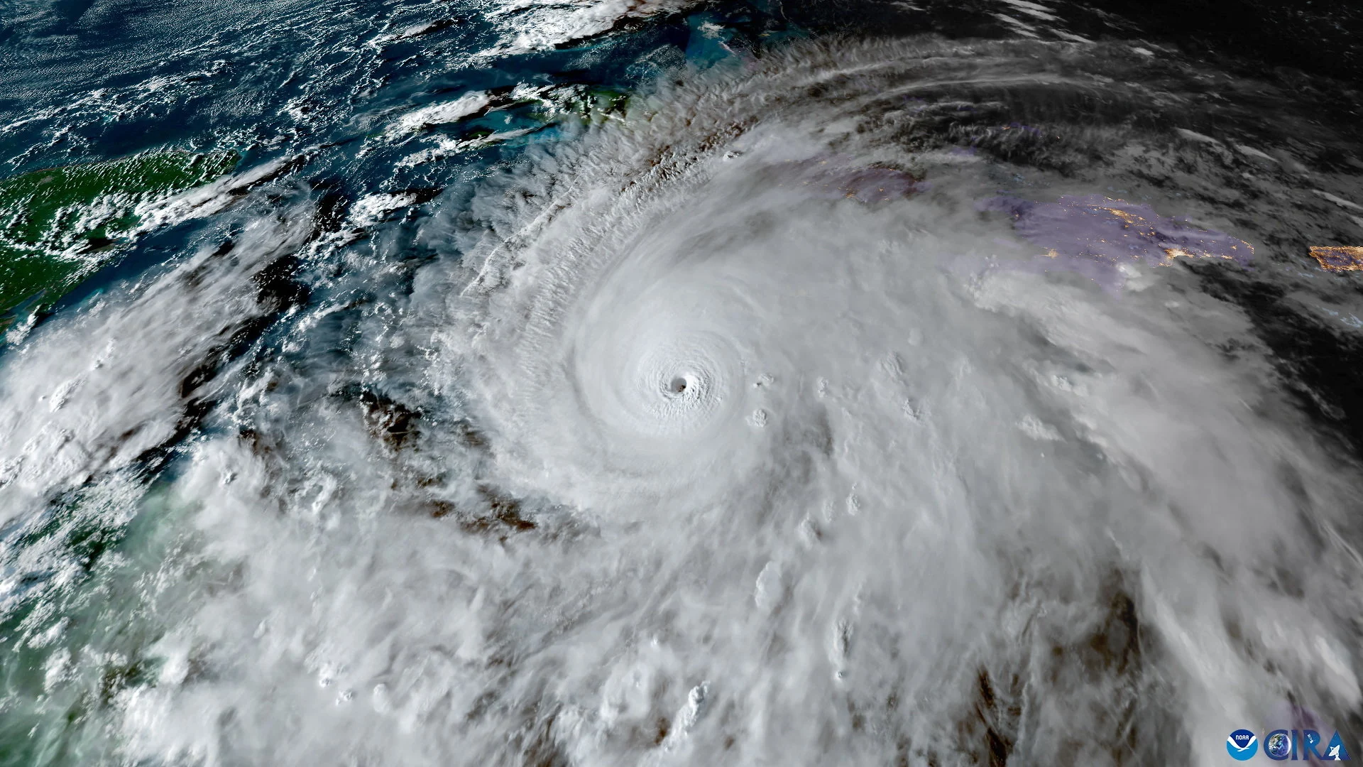
El huracán Melissa tocó tierra en Jamaica como una tormenta catastrófica de categoría 5, la más intensa registrada en la isla en 174 años, con vientos máximos sostenidos de 295 km/h, según el Centro Nacional de Huracanes (NHC).
El ciclón impactó el suroeste del país, cerca de New Hope, provocando cortes eléctricos, inundaciones y daños severos en viviendas y carreteras. Las autoridades mantienen la alerta máxima en toda la región.
De acuerdo con los pronósticos, Melissa se desplazará hacia Cuba, donde llegaría más debilitada, y luego continuaría su rumbo hacia las Bahamas, aunque aún podría causar lluvias intensas y marejadas peligrosas.
Horas antes del impacto, el gobierno jamaiquino aseguró haber tomado todas las medidas preventivas posibles y advirtió a la población sobre efectos devastadores en infraestructura y servicios básicos.

Leave a Reply