EFE.- Cerca de seis millones de personas en Jamaica, Cuba y Haití se han visto afectadas por el huracán Melissa, afirmó este lunes el Programa Mundial de Alimentos (PMAS o WFP, en inglés), ente de la ONU que ha intensificado la asistencia alimentaria en esos países «ante la magnitud de la destrucción». En las zonas...
Categoría: Internacional
Marco Rubio anuncia que EE. UU. ofrecerá ayuda humanitaria a Cuba tras huracán Melissa
Reuters.- Estados Unidos está dispuesto a ofrecer ayuda humanitaria inmediata a la población de Cuba afectada por el huracán Melissa, dijo el jueves el secretario de Estado estadounidense, Marco Rubio, en una publicación en X. El departamento ha emitido una declaración de ayuda humanitaria para Cuba, como lo hizo para los países vecinos del Caribe,...
Huracán Melissa se aleja de Cuba tras dejar 49 muertos en el Caribe
Foto/AP El huracán Melissa se aleja de Cuba convertido en un huracán categoría 2, después de golpear Jamaica como uno de los ciclones más intensos del Atlántico en los últimos 174 años. Hasta el momento, se han reportado 49 fallecidos en distintos países del Caribe. Aunque el centro del huracán ya se desplaza hacia las...
Violencia extrema en Brasil: 64 muertos y más de 80 arrestados en megaoperativo en Río
Foto/AP Al menos 64 personas murieron y más de 80 fueron arrestadas durante un gigantesco operativo policial contra el Comando Vermelho (CV), la mayor organización criminal del estado de Río de Janeiro, en Brasil. El gobierno local calificó la acción como “el mayor operativo policial” en la historia de la capital carioca. El enfrentamiento se...
Huracán Melissa golpea el oriente de Cuba con categoría 3 y amenaza a las Bahamas
El poderoso huracán Melissa, que devastó Jamaica, llegó al oriente de Cuba con categoría 3, acompañado de vientos de más de 120 millas por hora y lluvias torrenciales. Las autoridades mantienen la alerta máxima en las provincias de Guantánamo, Holguín y Granma, de acuerdo con medios internacionales. El fenómeno meteorológico ha provocado marejadas ciclónicas e...
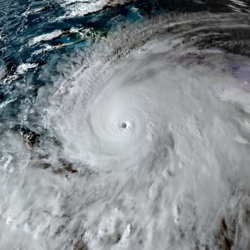
Huracán Melissa golpea Jamaica con fuerza histórica
Foto/ REUTERS El huracán Melissa tocó tierra en Jamaica como una tormenta catastrófica de categoría 5, la más intensa registrada en la isla en 174 años, con vientos máximos sostenidos de 295 km/h, según el Centro Nacional de Huracanes (NHC). El ciclón impactó el suroeste del país, cerca de New Hope, provocando cortes eléctricos, inundaciones...
Directora del museo Louvre admite fallo tras robo millonario de joyas de la Corona
Foto/cortesía. La directora del Museo del Louvre, Laurence des Cars, calificó el robo de joyas de la Corona como un “terrible fracaso” y dijo que ofreció su renuncia, la cual fue rechazada por la ministra de Cultura. El museo reabrió con largas filas bajo su emblemática pirámide de vidrio tras el impactante incidente. Los ladrones...
Trump amenaza con sacar a Boston del Mundial 2026 por presuntos fallos en seguridad
El presidente Donald Trump afirmó este martes que podría solicitar a FIFA que retire los partidos del Mundial 2026 programados para Boston (Gillette Stadium, Foxborough), alegando preocupaciones por condiciones de seguridad tras incidentes recientes en Massachusetts. En conferencia de prensa, Trump criticó a la alcaldesa Michelle Wu, acusándola de permitir que ciertas áreas de la...
Lluvias torrenciales dejan al menos 64 muertos y decenas de desaparecidos en México
Fotos/cortesía. Lluvias torrenciales provocaron devastadoras inundaciones y deslizamientos de tierra en varias regiones de México, dejando al menos 64 personas fallecidas y decenas desaparecidas, según informaron las autoridades este lunes. El fenómeno meteorológico, ocurrido entre el jueves y el viernes, causó el desbordamiento de ríos, la destrucción de viviendas, el arrastre de vehículos y el...
El escritor húngaro László Krasznahorkai recibe el Nobel de Literatura 2025
El Premio Nobel de Literatura 2025 ha sido concedido a László Krasznahorkai, escritor húngaro reconocido por su obra visionaria y poderosa, que “en medio del terror apocalíptico reafirma el poder del arte”, según la Academia Sueca. Krasznahorkai, de 71 años, ha sido destacado como un autor épico en la tradición centroeuropea, cuyas novelas reflexionan sobre...









